Из-за тайфуна будут эвакуированы полмиллиона японцевКатегория: В мире
Справка:
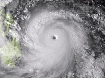
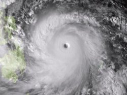
Больше 130 тысяч в результате власти эвакуируют из острова Мияко, из города Урасоэ эвакуируют примерно 113 тысяч жителей, из города Гинован эвакуируют более 90 тысяч жителей. Местные власти активно призывают всех населяющих прибрежные районы людей при опасности укрыться в самом близком убежище. Данная стихия уже оставила без света больше двадцати тысяч жилищ, сообщение по воздуху с Окинавой было прервано, местные аэропорты были закрыты. Также было остановлено дорожное движение по железнодорожной линии на возможное время непогоды в данной префектуре. По признаниям метеорологов уроган Ногури может в результате оказаться за последнее десятилетие одним из самых разрушительных и сильных тайфунов. |
Автор: Anna
Уважаемый посетитель, Вы зашли на сайт как незарегистрированный пользователь. Мы рекомендуем Вам зарегистрироваться либо зайти на сайт под своим именем.

В Гватемале открылись врата ада

